• 제5차 도시계획위원회를 개최
  • 입력날짜 2015-04-02 07:39:53
    • 기사보내기 
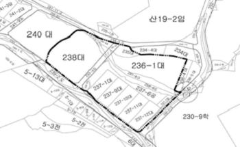
구로구 궁동 237번지 일대 주택재건축 정비 예정구역 해제 결정
정비 예정구역
정비 예정구역
서울시 도시계획위원회는 4월 1일 기획 상황실에서 2015년 제5차 도시계획위원회를 개최하고 서울시 구로구 궁동 237번지 일대 주택재건축 정비 예정구역 해제 안건에 대하여 “원안 가결”했다.

구로구 궁동 237번지 일대 정비예정구역은 토지 등 소유자 52%의 정비예정구역 해제 동의에 따라 구로 구청장이 해제를 요청한 지역이다.

이번 해제구역은 주민 의견에 따라 해제 결정된 지역이며, 도시계획위원회 심의 결과에 의거 4월 중으로 정비예정구역을 해제 고시 할 예정이다.

박강열 국장
<저작권자 ⓒ 영등포시대, 무단전재 및 재배포 금지>

기사보내기